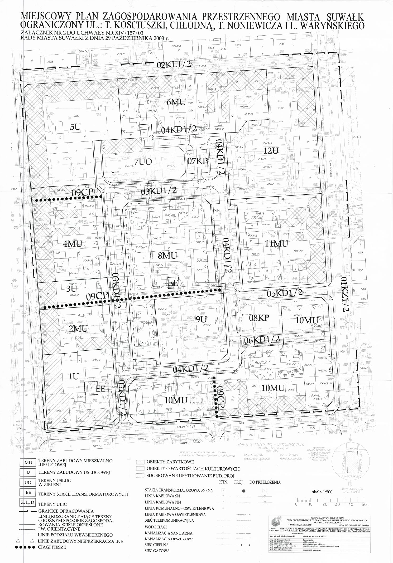
Plan nr 13 T. Kościuszki, Chłodna, T. Noniewicza i L. Waryńskiego
Udostępniający: Małgorzata Włoskowska - Wydział Architektury i Gospodarki Przestrzennej
Wytwarzający/odpowiadający: Radosław Jabłoński
Wprowadzający: Radosław Jabłoński
Data wprowadzenia: 2008-12-22
Data modyfikacji: 2008-12-22
Opublikował: Radosław Jabłoński
Data publikacji: 2008-12-22
